
37,897 SqFt
37,897 SqFt
Key Details
Property Type Vacant Land
Sub Type Unimproved Land
Listing Status Active
Purchase Type For Sale
Square Footage 37,897 sqft
Price per Sqft $1
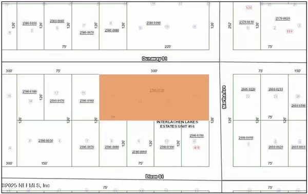
Subdivision Interlachen Lakes Estates
MLS Listing ID 2116197
HOA Y/N No
Annual Tax Amount $238
Lot Size 0.870 Acres
Acres 0.87
Property Sub-Type Unimproved Land
Source realMLS (Northeast Florida Multiple Listing Service)
Property Description
Location
State FL
County Putnam
Community Interlachen Lakes Estates
Area 572-Interlachen-Ne
Direction Hwy 20 W to right on Sun Ave. left on Sandy Ave. Follow Ida Blvd. down to right on Martha Ave. then right on Dunaway St. Property is on the right.
Exterior
Utilities Available Other
View Trees/Woods
Private Pool No
Building
Lot Description Corner Lot, Wooded
Water None
Others
Senior Community No
Tax ID 121024407525900120
Acceptable Financing Cash, Conventional
Listing Terms Cash, Conventional
GET MORE INFORMATION

Real Estate Advisor | Lic# 3346591





